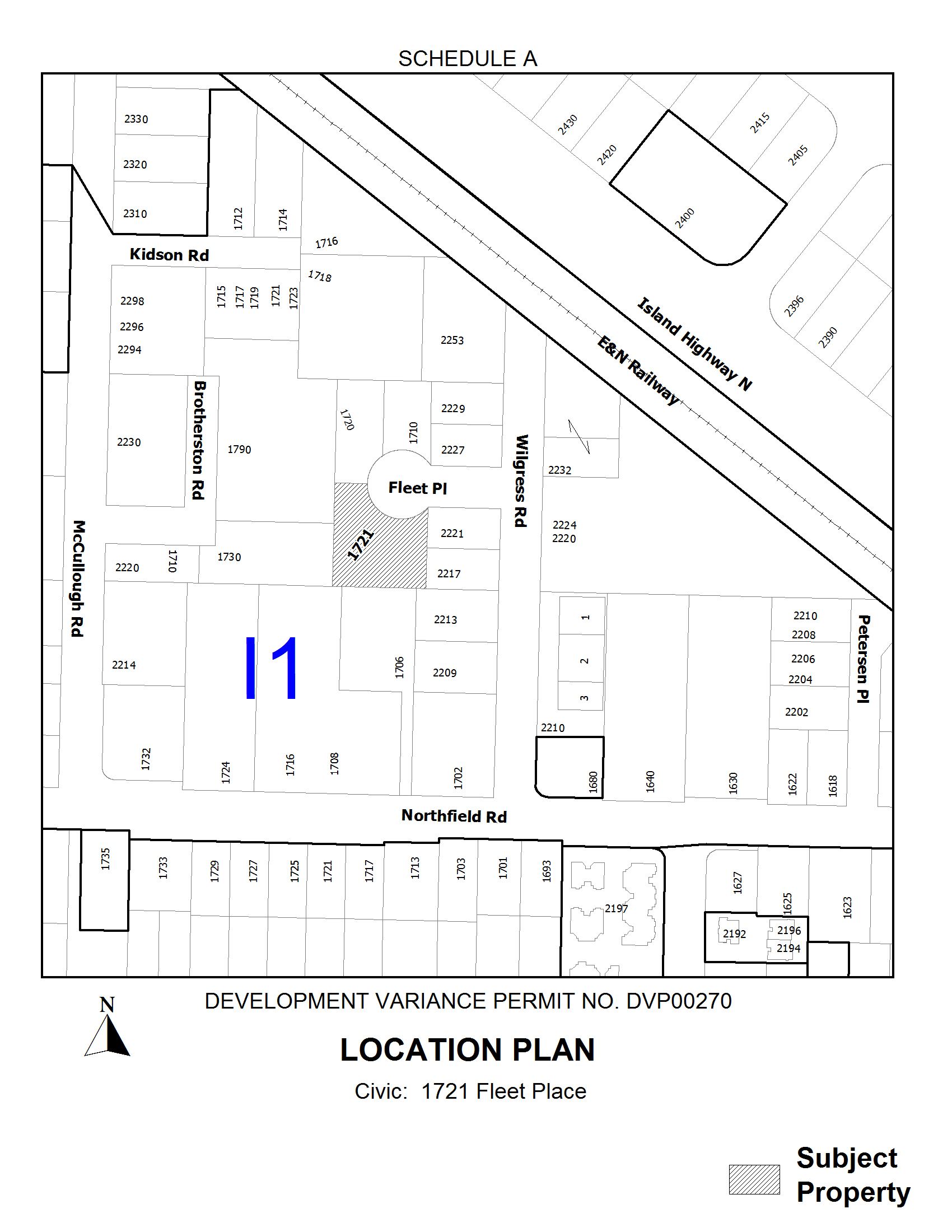
DVP00270 - 1721 Fleet Place
Interested in this application? Login to manage subscriptions to subscribe to updates!
Search Again| DVP00270 - 1721 Fleet Place | |
|---|---|
| Neighbourhood: | Northfield |
| Street Address: | 1721 Fleet Place |
| Type of Application: | Development Variance Permit |
| File Number: | DVP00270 |
| Date Application Submitted: | October 06, 2015 |
| Application Description: |
Application to vary the required parking from 39 spaces to 12 spaces for an auction use. |
| Application Status: | COMPLETED |
| File Close Date: | December 09, 2015 |
| Expiry Date: | November 02, 2015 |
Associated Properties
| Address | Zone | More |
|---|---|---|
| 1721 FLEET PLACE | I1 | Property Report |
Process Steps
| Task | Status |
|---|---|
|
LETTER - APPLICATION RECEIVED
A new application has been received. |
COMPLETED |
|
APPLICATION REVIEW
The application requires Staff review. |
COMPLETED |
| COUNCIL-NOTIFICATION PROCESS | SCHEDULED |
|
COUNCIL-FOR DECISION
Council to consider the application and make a decision to either approve or reject the issuance of a permit. |
APPROVED |
| Drawings, Reports & Other Attachments |
|---|
|
Posted: 10/14/2015 4:46:46 PM
|
|
Posted: 10/19/2015 2:27:37 PM
Applicant's consultants letter of rationale and parking study |
|
Posted: 11/13/2015 9:34:42 AM
(item referred back to staff 2015-NOV-02) |
| Applicable Policies and Regulations |
|---|
|
Development Parking Regulations Bylaw No. 7266 |
| Map |
|---|
View in Google Earth (KML)
|
Disclaimer:
The City of Nanaimo does not endorse any information contained herein by parties not affiliated with the City of Nanaimo.
Furthermore, the City of Nanaimo is providing the information contained within this website without warranty, guarantee, or further obligation.
The City is not liable for any consequences or damages any individual may incur as a result of misrepresented, misquoted, or mistaken information.
The Information Provided within this website is for Informational Purposes Only.
It is not meant to be an authoritative guide, and will not in any circumstances override any decisions or standards made or set by any representative or agent of the City of Nanaimo.
-
Parks, Rec & Culture
- Recreation Facilities & Schedules
- Parks & Trails
- Trails
- Activity Guide
- Events
- Register for a Program
- Drop-In Schedules
- Public Art
- Culture
- Poetry
-
City Services
- Garbage & Recycling
- Home & Property
- Water & Sewage
- Online Services
- Cemetery Services
- City Services Directory
-
Property & Development
- Urban Forestry
-
Building Permits
- Online Building Permit Application
- Building Permit Revision
-
Application for a Residential Building Permit
- Access (driveway) Permit
- Accessory Building Permit
- Alteration Permit
- Building Envelope Repair
- Carriage House
- Demolition Permit
- Fence or Retaining Wall Permit
- Geotechnical Reports
- Locate Permit
- New Construction Permit
- Plumbing or Services Permit
- Secondary Suite Permit
- Special Inspection Permit
- Swimming Pool Permit
- Woodstove Installation Info
- Green Home Initiatives
- Small-Scale Multi-Unit Housing (SSMUH) Permit
-
Apply for a Commercial Building Permit
- Access (driveway) Permit
- Commercial Alteration Permit
- Building Envelope Repair Permit
- Demolition Permit
- Fence or Retaining Wall Permit
- Geotechnical Reports
- Leasehold Improvement
- Locate Permit
- New Commercial Construction Permit
- Occupant Load Permit
- Signs Permit
- Special Inspection Permit
- Sprinkler Requirements
- Fees and Bonding
- Commercial Plumbing Permit
- Certified Professional Program
- Bylaws for Building
- Forms and Guidelines
- Book a Building Inspection
- Report Illegal Construction
- Request Building Plans
- Building Permit Statistics
- Permit Fee Calculator
- Building News and Alerts
- Fast Track Building Permits
- Development Information
- What's Building in my Neighbourhood
- Development Activity Map
- Community Planning
- NanaimoMap
- Rebates
- Engineering Survey
- Land Use Bylaws
- Soil Removal and Depositing
- Heritage Buildings
- Sustainability
- Transportation & Mobility
-
Your Government
- Get Involved
- Government Services Guide
- News & Events
-
City Council
- Advocacy
- Contact Mayor & Council
- Council Meetings
-
Boards & Committees
- Advisory Committee on Accessibility and Inclusiveness
- Board of Variance
- Design Advisory Panel
- Finance and Audit Committee
- Governance and Priorities Committee
- Mayor's Leaders' Table
- Parcel Tax Roll Review Panel
- Special District 68 Sports Field and Recreation Committee
- Public Safety Committee
- Understanding Council Committee Structures
- Council Policies
- Mayor's Office
- Council Initiatives
- Proclamations
- Bastion Lighting Requests
- Alternative Approval Process
- Budget & Finance
- Records, Information & Privacy
- Elections
- Contacts
- Careers
- Maps & Data
- Projects
- Tourism Nanaimo
- Grants
- Awards
- Accessibility & Inclusion
-
Doing Business
- Economic Development
- Doing Business with the City
- Business Licences
- Filming in Nanaimo
- City Owned Property
- Encroachments onto City Property
- Liquor Licences
- Cannabis Retail
- Business Improvement Areas
- Procurement Services
- About Nanaimo
- Green Initiatives
-
Public Safety
- Social Development
- Public Safety Contacts
- Nanaimo Fire Rescue
- Emergency Management
- Police & Crime Prevention
- City Bylaws
- Community Safety and Wellbeing
- Emergency Services

View in Google Earth (KML)